
They must have thought that the future would be a place where no one would wish to walk to a park. It’s honestly a challenge to understand how a place such as this was ever built, how it would not be patently obvious that building a place that excluded people would well, exclude people.
St. Louis ran a parkway, then an Interstate through its signature park, removed sidewalks, or failed to build them, and never thought that someone on a bicycle might wish to traverse the city. In a city not flush with redevelopment funds, such shortsighted development take a very, very long time to correct.
{if you look close enough, you can spot a cyclist and pedestrian}
{existing crosswalk in yellow, added crosswalks shown in blue}
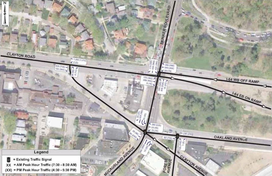
Plans for the Skinker Boulevard/Clayton Road intersection (Interstate 64, Oakland Avenue, Clayton Avenue, and McCausland Avenue converge here too), include added crosswalks, pedestrian light buttons, and curb cuts. Those are relatively easy, but realigning all the traffic lights and lanes is expensive, meaning the project will cost about $2M.
This is a great project and will improve the connectivity between the southwest corner of Forest Park and surrounding neighborhoods greatly. The number of signalized pedestrian crosswalks will grow from one to eight. Oakland Avenue gets a road diet, bike lanes, and a sidewalk. New crosswalks are introduced at Louisville Avenue and Tamm (at Turtle Park).
Skinker and Clayton Avenue at Oakland:



It’s a challenging morass of streets and roads, but plans appear to offer much simplified, and safer connections to the existing Forest Park path system. The intersection sees significant use by cyclists and pedestrians today, and added connectivity should encourage even greater use.
The project is possible now due to $1.6M in federal Congestion Mitigation & Air Quality funding. Funding requires improvements for pedestrians without negatively impacting vehicle capacity (yes, federal requirements for funding must change if we’re to build a more dense, sustainable, and livable community). Alderpersons Lyda Krewson-28th Ward, and Scott Ogilvie-24th Ward committed a combined $200,000 and the Forest Park bond issue provided a like amount to meet local match requirements.
Skinker at Clayton Road and I-64 ramps:



There are trade offs inherent in federally funded projects. Engineering plans show the removal of a large turning radius at Oakland and Skinker, labeled “Encourages Faster Vehicles and Not Pedestrian Friendly” (also from southbound Skinker to westbound Clayton Road), and then the introduction of a larger turning radius from westbound I-64 off ramp to both northbound and southbound Skinker because “Small Radius Causes Vehicles to Track Over Existing Curb Ramp”, and “Vehicles Encroach Onto Median”.
That’s how to keep the traffic flowing while adding pedestrian amenities. Looking at the big picture here, the trade-off is more than worth it, as park-goers and residents must currently navigate a 1960s intersection which never considered their presence. Construction should begin in Spring 2015 and take a couple months to complete. Additional information and plan specifics will be on view at an informal open house at St. Mark’s Luthern Church, 6337 Clayton Rd., planned for 6 to 7pm Wednesday, April 30th.



